Voltar
para lista

Terreno à Venda, Tremembé, por R$ 580.000,00

Tremembé - São Paulo - Zona Norte

R$ 580.000,00

  • Aceita Permuta
- quarto
- suíte
- vaga
- quarto
- suíte
Atualizado em: 26/04/2026 | Código: TE0222

Tremembé - São Paulo - Zona Norte

Descrição do Imóvel

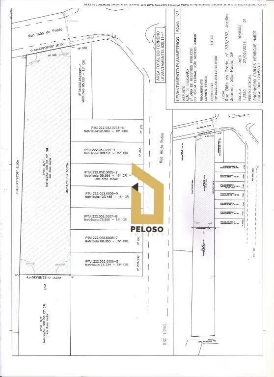
Terreno à venda - Vila Augusta/Tremembé com 825 m², com grande potencial construtivo.

Possui como medidas de frente 12,70, lado direito 61,00, lado esquerdo 63,79 e fundo com 14,07 metros.

Na parte frontal, encontram-se 5 casas construídas, sendo: a casa principal ampla, 3 dormitórios, 2 banheiros, sala, cozinha, área de serviço, quarto de funcionária, churrasqueira e garagem para 2 carros.
2 casas médias sendo cada uma com 2 dormitórios, sala, cozinha, banheiro, área de serviço e garagem para 1 veículo.
2 casas compactas sendo cada uma com 1 dormitório, cozinha, banheiro e área de serviço.

Terreno raro e amplo na região, ideal para novos empreendimentos residenciais ou comerciais, documentação 100% regularizada junto a todos os órgãos competentes, valor de venda muito abaixo de avaliações de mercado, excelente potencial para investimento ou para demolição e construção de projetos modernos para venda ou locação.

Observação: todos os inquilinos estão cientes e documentados quanto a possibilidade da venda.

Para você que é construtor esse realmente é um excelente negócio.
Proprietário estuda vários tipos de permuta.

Venha conhecer, analise seu projeto. Agende sua visita!!!!

Todas as informações deste anúncio são fornecidas pelo anunciante.
O Portal ZN Imóvel fica isento de qualquer responsabilidade.
Creci - Procure sempre um corretor credenciado.

Blog do Grupo SP Imóvel

Quer saber mais sobre as vantagens de lazer, esporte, comércio, escolas, etc., no bairro do(a) Tremembé, Zona Norte? Clique no(s) link(s) abaixo:
Confira a ampla pesquisa que realizamos sobre financiamento imobiliário em nosso blog. Clique nos links abaixo:
Contate o anunciante


Visualizações do imóvel
51 pessoas visualizaram esse imóvel recentemente
CRECI: 27.448-J

Peloso Imóveis


Ver telefone e
dados do anunciante
(11) 2283...
(11) 2283-0843 / 97692-9118
Contate o anunciante
Código do imóvel:
TE0222
Ao ligar, diga que viu este
anúncio no Portal ZN Imóvel
Endereço do anunciante:

Rua Conselheiro Saraiva, 207
Sala 2401 - Santana - São Paulo

Anúncios encontrados 1200 anúncios encontrados
Tempo de cadastro da imobiliária Desde julho de 2020
Contate o anunciante